老涛资讯网
身边有良友的文章
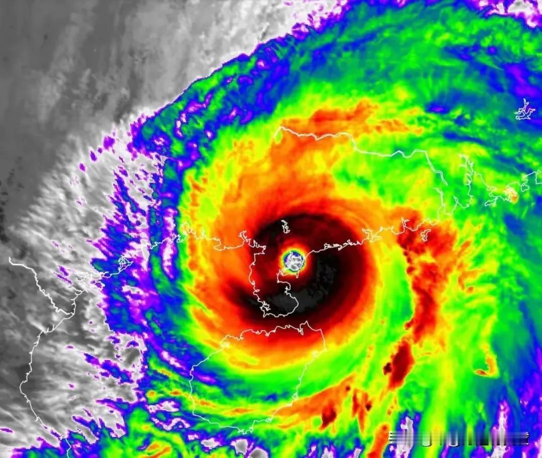
1. 湛江辖区高速海湾大桥已封闭:10月5日07时,强台风“麦德姆”(14级)距
社会
2025-10-05 13:59
1. 普京对美示好遭北约特朗普回应:普京在瓦尔代年会上对美示好,承诺供应铀并表示
国际
2025-10-05 13:59
海宁严阵以待迎观潮节!领导靠前指挥,万人安保团队筑牢“平安防线” “八月十八
社会
2025-10-05 09:59
当钱塘江的潮水裹挟着千年气势奔涌而来,海宁的观潮季不仅是自然奇观的盛宴,更是一场
社会
2025-10-05 09:59
杭州昨日迎370万游客!西湖挤爆、灵隐捡十几张身份证,这些亮点别错过 10月
社会
2025-10-05 09:59
厕所和卫生间哪个文明卫生间比较文明
家居
2025-10-05 08:59
1. 欧盟商讨应对俄罗斯渗透对策:欧盟27国领导与多国政要齐聚哥本哈根,就俄罗斯
国际
2025-10-05 08:59
4. 海南多部门防台风麦德姆:第21号台风“麦德姆”加强为台风级,5日或强台风级
社会
2025-10-05 08:59
2. 广州天气与强台风麦德姆登陆信息:2025年10月5日,广州多云间阴天、有雷
社会
2025-10-05 08:59
1. 台风麦德姆或登陆广东湛江:21号台风麦德姆穿过菲律宾后在南海增强,或于10
社会
2025-10-05 08:59
2. 特朗普计划或难如愿:特朗普提出“夺回”阿富汗巴格拉姆空军基地,想将其作为监
国际
2025-10-05 07:59
1. 捷克议会选举ANO党获胜:捷克议会选举,亲俄政党ANO获胜,前总理安德烈·
国际
2025-10-05 07:59
2. 山东国庆中秋消费市场活力强劲:国庆中秋双节期间,山东消费市场活力强劲。全省
2025-10-05 06:59
1. 青岛国庆期间热点多:2025年10月5日热点不断。国庆期间,青岛成热门旅游
社会
2025-10-05 06:59
2. 以军突袭多哈事件引发多方反应:2025年9月,以色列空军突袭卡塔尔首都多哈
军事
2025-10-05 06:59
1. 以色列拦截民船物资引发美欧分歧:40艘民船载物资和人士前往加沙,多艘北约成
国际
2025-10-05 06:59
歼-10C与霹雳-15E是王炸组合:歼-10C战机与霹雳-15E导弹堪称“王炸组
军事
2025-10-05 06:59
2. 国际形势复杂犹太左右为难:当前国际形势紧张,东方集团与昂撒集团在中东联手做
国际
2025-10-05 06:59
1. 马科斯政治局势恶化向中国示好:菲律宾总统马科斯政治局势急转直下,国内民生危
国际
2025-10-05 06:59
3. 南昌大士院街区美食店主的机遇与挑战:南昌大士院街区美食“出圈”后,店主们迎
社会
2025-10-05 06:59
第一页
下一页
身边有良友
感谢大家的关注
热门分类
推荐
热榜
军事
NBA
体育
社会
明星八卦
娱乐
财经
科技
汽车
历史
国际
游戏
动漫
公益
搞笑
商业
互联网
数码
国际足球
房产
家居
时尚
科学探索
职场
育儿
股票
教育
影视
情感
热点
中国军情
武器
中国南海
中国足球
亚洲杯
科比
综合体育
CBA
投资
大咖秀
外汇
创业
风口
SUV
豪车
概念车
优惠
新能源
美国
欧洲
朝日韩
俄罗斯
孕期
街拍
婚姻
正能量