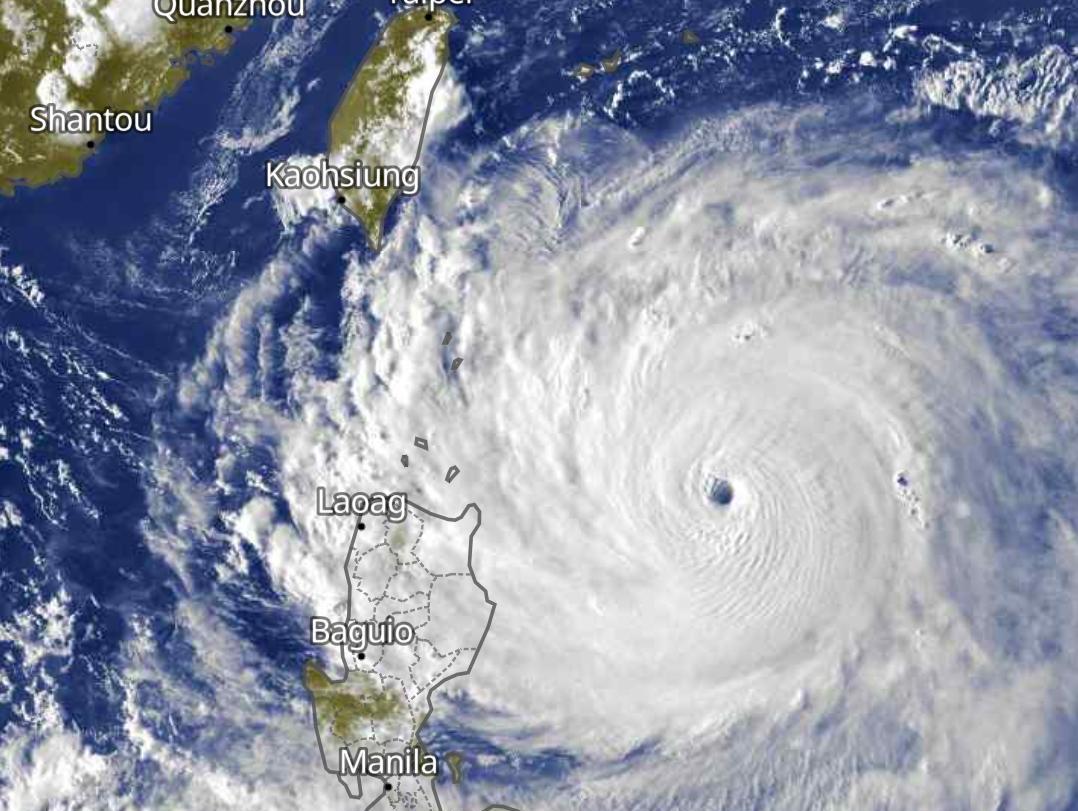
随着第17号台风的离去,从今天下午的卫星云图上来看,广东惠来、梅州五华一带天气放

潮咖聚星光 2025-09-21 23:59:11

随着第17号台风的离去,从今天下午的卫星云图上来看,广东惠来、梅州五华一带天气放晴, 阳光归来!不过广东江门、珠海、韶关一带 云量还比较多,从雷达回波来看,广东中山到深圳一带有些地方还有一些分散性的阵雨。 今天下午5点钟,今年第18号台风“桦加沙”在菲律宾马尼拉东北方向680 公里海上,风力已经达到了17级,超强台风级别,卫星云图上能够非常清晰的看到台风风眼,而且它的范围还比较大,甚至连菲律宾北部都是处于它的势力范围。 未来它的路径依然是向西北方向移动,并逐渐向广东沿海一带靠近,据中央气象台预计第18号台风“桦加沙”在靠近广东沿海时,其强度可能为强台风或超强台风级别。

0 阅读:0
潮咖聚星光

潮咖聚星光

潮咖聚星光